수피가 사슴의 뿔(녹각)을 닮은 노각나무 : 낙엽 활엽 교목
♠ 학명 : Stewartia pseudocamellia
♠ 분류 : 식물계> 속씨식물문> 쌍떡잎식물강> 진달래목> 차나무과> 노각나무속> 노각나무
♠ 분포 : 한국, 일본(혼슈 이남)
♠ 국내분포/자생지 : 주로 경북(소백산,운문산), 전남 이남의 산지
♠ 꽃 : 6~8월
♠ 열매 : 9~10월
♠ 크기 : 7~15m
♠ 꽃말 : 견고, 정의
♠ 유래 : 수피가 사슴의 뿔(鹿角) 혹은 노루의 뿔을 닮았다 하여 붙여진 이름이다.
♠ 나무껍질은 모과나무,배롱나무와 같이 껍질이 벗겨져 홍황색 얼룩무늬가 있어서 비단나무라 불리기도 한다.
♠ 꽃이 마치 동백꽃처럼 생겨 흔히 정원이나 공원 등에 관상수로 심는다.
♠ 목재는 땔감이나 가구로 만들며 잎은 약초로 쓰인다.
♠ 고로쇠나무처럼 봄에 수액을 먹을 수 있다.
♠ 노각나무 순으로 노각차를 마신다.
♠ 간염이나 간경화증 등 각종 간 질환에 효과가 있으며 알코올 중독, 농약 중독, 중금속 중독을 풀어주는 작용도 있다고 한다.


잎: 어긋나기, 반듯한 타원형이며, 끝은 둥글거나 뾰족하고 밑부분은 쐐기형 또는 넓은 쐐기형이며 가장자리에는 물결 모양의 톱니가 있다. 표면은 맥이 들어가 주름져 보이며 뒷면에는 누운 털이 있고 맥겨드랑이에 털이 밀생 한다.


꽃: 양성화, 6~8월에 햇가지 아래 부분의 잎겨드랑이에 흰색의 꽃이 한 송이씩 핀다. 꽃잎은 5~6개이고 도란형이며 가장자리에 미세한 톱니가 있고 겉에는 털이 밀생한다.


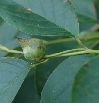
열매: 삭과, 5각뿔 모양의 달걀형이고, 익으면 5갈래로 갈라진다.


겨울눈: 눈비늘조각은 처음에는 2~4장이 있지만, 일찍 떨어져서 맨눈 상태가 된다.


수피: 성장함에 따라 표면이 얇게 벗겨져서 황갈색 또는 적갈색의 얼룩무늬가 된다.
뿌리: 원뿌리와 곁뿌리가 있다.
생육환경:
높은 비옥도와 습기를 요하므로 비옥한 사질양토에서 잘 자라며 배수가 잘되고 뿌리 근처 토양이 서늘해야 좋다.
내한성이 강하여 우리나라 전역에서 생육이 가능하며, 내음성도 강하여 나무 밑에서도 잘 자라며 해변에서도 생장이 좋고 공해에도 잘 견디는 수종이다.
재배특성:
뿌리가 마르지 않도록 조심해야 하며, 뿌리 부분은 그늘지도록 재배한다. (종자는 2년간 노천매장)
생장속도는 어릴 때는 느리나 자람에 따라 보통이다.
보호방안:
내병충성이 강해 관리상 편하고, 한국 특산식물이므로 계속적인 보호가 필요하다.
(뿌리주위에 직사광선이 들어가지 않도록 해야 한다)
특징:
한국 특산이며 세계적으로 7종의 노각나무 종류가 분포되어 있으나 우리나라 품종이 가장 아름다운 것으로 인정되고 있다.
변재는 아주 넓으며 갈색, 심재는 갈색줄무늬가 있는 담자흑색으로 심, 변재의 구분이 분명치 않고 나이테는 희미하게 구분된다.
국내에만 자생하는 특산 식물이다.
출처:
[국가생물종지식정보시스템 http://www.nature.go.kr]
[한국의 나무]
[핸드북 나무도감]
'나무' 카테고리의 다른 글
| 치자나무 (Gargenia) (0) | 2025.01.21 |
|---|---|
| 식나무 (Spotted laurel) (0) | 2025.01.20 |
| 귀룽나무 (Bird cherry) (0) | 2025.01.18 |
| 고로쇠나무 (Mono maple) (5) | 2025.01.17 |
| 오동나무 (Korean paulownia) (0) | 2025.01.17 |