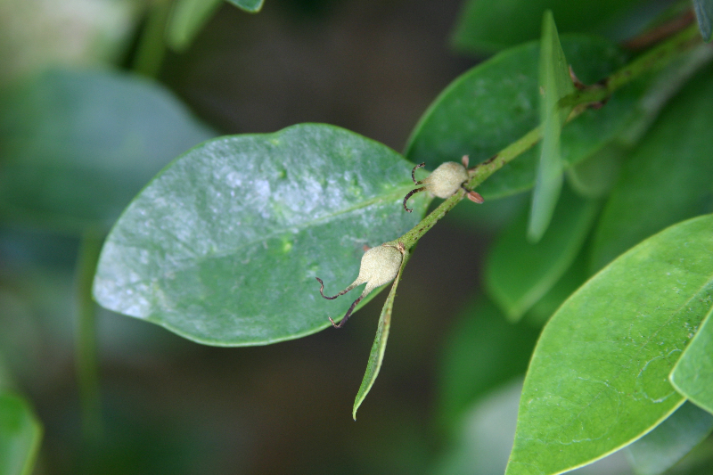
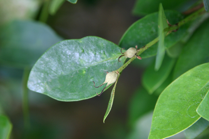
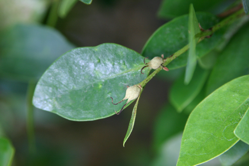
잎에 혹이 있는 조록나무 : 상록 활엽 교목
♠ 분류 : 식물계> 속씨식물문> 목련강> 조록나무목> 조록나무과> 조록나무
♠ 분포 : 중국, 대만, 일본, 전라남도 완도, 제주도
♠ 꽃 : 4~5월
♠ 열매 : 11월
♠ 크기 : 10~20m
♠ 꽃말 : 변하기 쉬운 사랑
♠ 유래 : 잎이나 겨울눈에 조롱박 같은 충영이 달리는 특징에서 유래했다. 조록은 제주 말로 자루, 낭은 나무를 뜻한다.
♠ 조록나무에는 조록나무혹진딧물을 비롯한 여러 종류의 곤충들이 기생하여 충영을 만드는 것으로 알려져 있다.

잎: 어긋나기, 두껍고 타원형이며 가장자리는 밋밋하며 광택이 나고 양면에 털이 없으며 잎자루 길이는 3~8mm이고 턱잎이 일찍 떨어진다. 붉나무처럼 앞에 충영이 잘 생긴다.

꽃: 양성화, 꽃은 3~4월에 잎겨드랑이에서 나온 총상꽃차례에 달린다. 꽃밥이 터진 이후 암술대가 계속 자라 두드러진 모습을 보인다.

열매: 열매는 목질이며 겉표면에 털이 밀생 한다. 9~10월에 성숙하면 2갈래로 갈라진다.
종자: 종자는 길이 4~5mm의 타원형이며 광택이 나는 흑색이다.
겨울눈 : 갈색의 성상모(별모양의 털)가 밀생한다.

수피: 짙은 회색이고 오래되면 조각상으로 떨어진다.
번식방법:
▶ 실생 및 삽목으로 번식한다.
①실생 : 흑색 종자를 채취하여 노천매장하였다가 이듬해 봄에 파종한다. 종자는 다른 종자보다 휴면기간이 길어 직파하여도 다음 해 봄에 발아하는 것은 소수이고 파종 후 2년째 봄에 발아하는 것이 많다. 종자채취 직후 습층처리를 하면 효과적이다.
②삽목 : 3-4월, 6-7월에 가지삽목을 하나 발근율이 좋은 편이 아니다.
재배특성:
이식이 용이하다.
보호방안:
자생지 보호는 물론 내공해성, 내염성이 강하므로 해안가 개발지역의 방풍수, 생울타리용으로 이용이 요구된다.
특징:
바람에 민감하여 주풍방향의 반대편으로 수관이 비뚤어진다. 광택이 있으며 두껍고 어긋나기하는 짙푸른 잎과 잎에 충영을 형성하는 것이 특징이며 꽃받침만 있는 붉은 꽃이 잎자루와 잎 사이에 뭉쳐 핀다. 뿌리가 잘 썩지 않아 수백 년 묵은 것은 그 다양한 형상때문에 예술적 가치가 높다.
출처:
한국의 나무
'나무' 카테고리의 다른 글
| 야광나무 (Siberian Crab Apple) (0) | 2024.03.03 |
|---|---|
| 고광나무 (Korean mock orange) (0) | 2024.03.02 |
| 누리장나무(Harlequin glorybower) (0) | 2024.02.29 |
| 히어리 (Korean winter hazel) (1) | 2024.02.29 |
| 후박나무 (common machilus) (0) | 2024.02.29 |