반응형
말발도리 속 비교(빈도리, 애기말발도리, 바위말발도리, 말발도리, 물참대)
빈도리
가지 끝의 원뿔꽃차례에 흰색 꽃이 고개를 숙이고 핀다.
햇가지, 잎 양면, 열매는 별모양 털이 있다.


애기말발도리
가지 끝의 원뿔꽃차례에 흰색 꽃이 핀다.
햇가지와 잎 뒷면은 털이 없다. 열매도 털이 거의 없다.


매화말발도리
지난해 가지의 잎겨드랑이에 흰색 꽃이 1~3개씩 달린다.
꽃받침조각은 좁은 삼각형이며 통부보다 짧다.


바위말발도리
햇가지 끝에 흰색 꽃이 1~3개씩 달린다.
꽃받침조각은 가는 피침형이며 통부보다 길다.


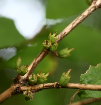
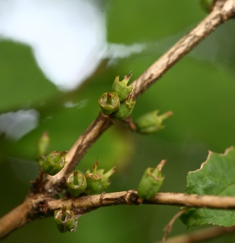
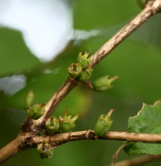
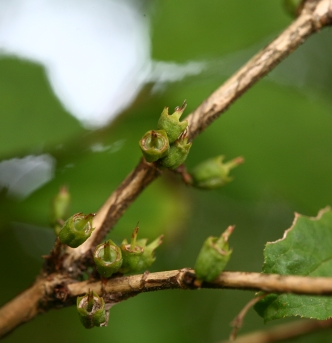
말발도리
가지 끝의 고른 꽃차례에 흰색 꽃이 핀다.
잎 양면에 별모양털이 있다. 열매도 별모양털로 덮여있다.


물참대
가지 끝의 고른 꽃차례에 흰색 꽃이 핀다.
잎에 털이 거의 없다. 열매도 털이 없이 매끈하다.


출처:
나무 쉽게 찾기
두산백과 doopedia
손에 잡히는 생태수목도감
혁이삼촌(이동혁)
반응형
'나무' 카테고리의 다른 글
| 수국과 비교 (3) | 2025.02.11 |
|---|---|
| 수국 (Chinese sweetleaf) / 산수국(Mountain hydrangea) (1) | 2025.02.11 |
| 빈도리 / 만첩빈도리 (0) | 2025.02.10 |
| 말발도리 (Mongolian deutzia) (1) | 2025.02.10 |
| 돈나무 (Australian laurel) (1) | 2025.02.07 |