커다란 꽃이 피는 함박꽃나무 : 낙엽 활엽 소교목
♠ 학명: Magnolia sieboldii
♠ 분류: 식물계> 속씨식물문> 쌍떡잎식물강> 목련목> 목련과> 목련속> 함박꽃나무
♠ 분포: 중국, 일본
♠ 국내분포: 함경북도를 제외한 전국 분포
♠ 꽃: 5~6월
♠ 열매: 9~10월
♠ 크기: 7~10m
♠ 꽃말: 사랑의 고백, 애정
♠ 유래 1: 목련속 나무이며, 함박꽃(작약꽃)과 비슷한 꽃을 피운다고 해서 붙여진 이름이다.
♠ 유래 2: 크고 화려한 꽃들은 마치 함박눈처럼 흩날리는 모습에서 이름이 유래되었다.
♠ 유래 3: '함박'이란 통나무의 속을 파서 만든 '함지박'이란 바가지를 말하는데, 함박꽃은 꽃의 크기가 함박처럼 크기 때문에 붙여진 이름이다.
♠ 북한에서는 '나무에 피는 난초꽃'이라는 뜻으로 목란(木蘭)이라 하며, 북한의 국화이다.
♠ 꽃은 잎이 난 후에 피며 가지 끝에서 옆이나 아래를 향해 달리는 점이 특징이다.


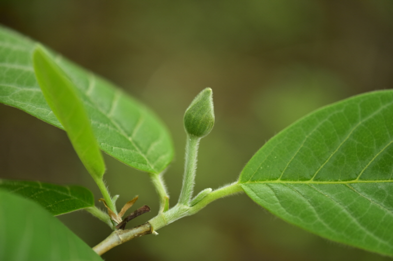
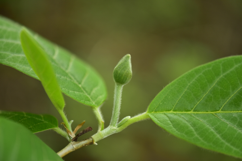
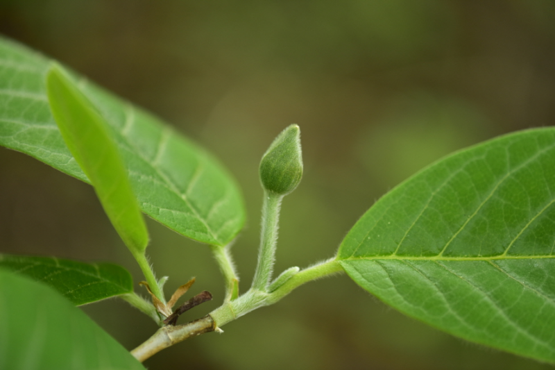
잎:어긋나기, 넓은 거꿀달걀형이며, 톱니가 없다. 턱잎자국이 가지를 한 바퀴 돈다. 끝은 뾰족해지며 가장자리가 밋밋하다. 뒷면은 회녹색이며 맥 위에 털이 있다. 잎자루는 길이 1~2Cm 정도이다.


꽃: 양성화, 잎이 난 후에 가지 끝에 흰색 꽃이 옆이나 아래를 향해 달린다. 향기가 있다. 화피 편은 9~12개인데 바깥의 3개는 작고 꽃받침 모양이며, 안쪽의 6~9개는 꽃잎 모양이다. 수술은 선형이고 수술대와 꽃밥은 적색이다. 암술은 원추형의 기둥에 다수가 달리며 황록색이다.
열매: 곰돌과, 긴 타원형이며, 붉은색으로 익는다.


겨울눈: 끝눈은 길쭉하고 끝이 뾰족하며, 가죽질의 큰 눈비늘조각에 싸여 있다.
줄기: 회백색, 평활하다. 성장함에 따라 사마귀 같은 껍질눈이 발달하고 세로줄이 생긴다.


생육환경:
▶산골짝 숲 속에서 자란다.
▶습기가 적당하고 배수가 잘되는 비옥한 반그늘에서 잘 자란다. 노지에서 월동하고, 16~30℃에서 잘 자란다. 대기오염과 해풍이 심한 곳에서는 생육이 불량하다. 내한성이 강하나 환경내성은 약하다.
재배특성:
전정과 이식을 싫어한다.
출처:
[국가생물종지식정보시스템 http://www.nature.go.kr]
[아름다운 우리나무]
[핸드북 나무도감]
'나무' 카테고리의 다른 글
| 양버즘나무(Bottonball) (0) | 2024.12.04 |
|---|---|
| 가래나무 (Manchurian walnut) (0) | 2024.11.22 |
| 태산목 (Southern magnolia) (1) | 2024.11.21 |
| 느티나무 (Sawleaf zelkova) (2) | 2024.07.16 |
| 상수리나무 (Sawtooth oak) (1) | 2024.06.19 |